
REMATE JUDICIAL SIN BASE EN U$S
JUEVES 20 DE NOVIEMBRE 13:30 HORAS
En A.N.R.T.C.I. – AV. URUGUAY 826 – MONTEVIDEO
TERRENO BALDÍO
EN LA RAMBLA DE
COLONIA DEL SACRAMENTO
Rematamos sin base en dólares un terreno baldío único por su ubicación,
ideal para inversores y emprendedores.
Características del terreno:
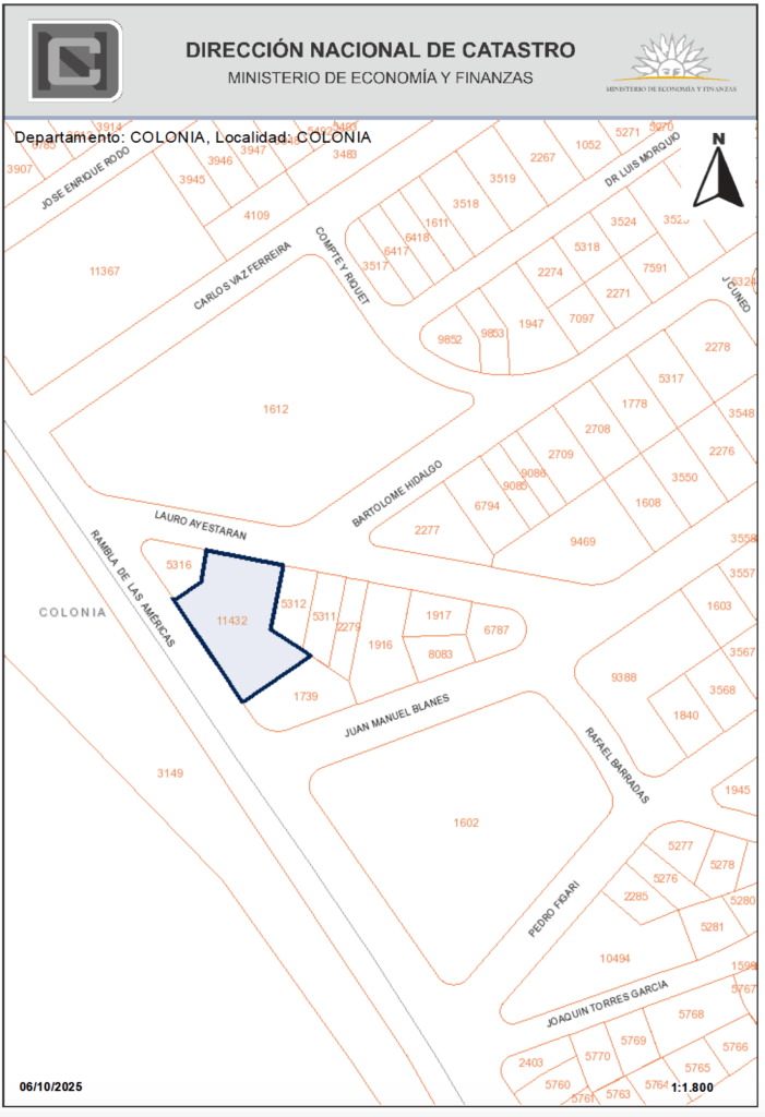
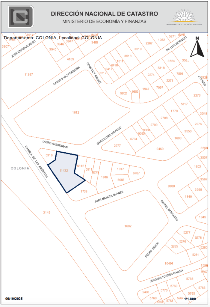
Superficie total: 2.156 m²
Frente por Rambla: 55 m
Frente por Ayestarán: 35,66 m
Salida a dos calles
F.O.S.: 60%
F.O.T.: 180%
Altura máxima: 15 m (5 niveles)
Una ubicación estratégica sobre la rambla, con gran potencial para desarrollo
inmobiliario o proyectos comerciales.
Ubicación:
Rbla. de las Américas, entre Lauro Ayestarán y Juan M. Blanes, en Colonia del
Sacramento, frente a la playa.
Padrón N° 11.432
Condiciones:
SEÑA: 30%
COMISIÓN E IMPUESTOS: 3,66%
REMATE SIN BASE – EN DÓLARES


EDICTO: Por disposición del Sr/a. Juez Letrado Civil de 2º Turno, dictada en autos: “DONNER RYBAK, CARLOS c/ NEDOBAN SA – EJECUCIÓN DE HIPOTECA” IUE 2-13492/2024, se hace saber que el día 20 de noviembre de 2025 a las 13:30 horas en la Asociación de Rematadores, sito en la calle Uruguay 826, se procederá por intermedio del Martillero Sergio Fain, Matrícula N.º 5.328 R.U.T. 213918210016, presidido de la Sra. Alguacil, a la venta en pública subasta, en dólares estadounidenses, sin base y al mejor postor, el siguiente bien inmueble: Solar de terreno baldío ubicado en la localidad Catastral de Colonia, Departamento del mismo nombre, empadronado con el Nº 11.432 (antes padrones 1609, 5313, 5314 y 5315), que según plano de mensura y fusión del Agrimensor Gustavo Curutchet inscripto en la Dirección General de Catastro Oficina Delegada de Colonia el 4 de julio 2012 con el número 13.688, compuesto por los solares, 8, 3, 9 y 10, consta de una superficie de 2156 metros, 11 decímetros y se deslindan en conjunto de la siguiente manera: 55 metros al Suroeste de frente a la Rambla de las Américas, distando 35 metros el punto extremo de su frente a la prolongación de la ochava curva que los une con la calle Lauro y Ayestaran por ser esquina; al Noroeste dos tramos rectos de 14,18 metros cada uno lindando ambos con el padrón 5316 (solar 11); 35,66 metros al Noreste también de frente a calle Lauro Ayestaran; al Sureste 4 tramos rectos de: 28,70 metros, 16,15 metros lindando ambos con padrón 5312; 4,74 metros lindado con parte del padrón 5312 y 36,62 metros lindado con padrón 1739. Se previene: 1) Que el mejor postor deberá consignar por concepto de seña el 30% de su oferta, así como la comisión del Rematador más I.V.A. (3,66%). Dicho pago deberá realizarse en el acto mediante transferencia bancaria, letra de cambio o en efectivo hasta U.I. 1.000.000 (unidades indexadas un millón). Todo exceso de este último valor se hará efectivo mediante letra de cambio, o transferencia electrónica de una entidad bancaria de plaza, cumpliendo así con lo dispuesto por las Leyes No. 19.210, 19.478 y 19.889 modificativas, concordantes y sus decretos reglamentarios. Serán de cargo del Mejor Postor los gastos de escrituración, honorarios e impuestos que la Ley pone a su cargo. 2) Que serán de cargo del vendedor la comisión e impuestos al Rematador, o sea, 1,22%. 3) Que se desconoce el estado ocupacional y material del inmueble. 4) Que, de existir deudas por aportes al BPS por las construcciones existentes, las mismas será de cargo del mejor postor. 5) Que existen deudas por tributos nacionales y/o municipales; siendo los únicos rubros imputables al precio de la subasta: Contribución Inmobiliaria e impuesto de Enseñanza de Primaria hasta la fecha del remate. Asimismo, podrá imputar el 2% correspondiente al vendedor por I.T.P, e I.R.P.F si correspondiere. 6) Se deberá tener presente lo dispuesto por la Ley 19.210 de Inclusión Financiera y demás disposiciones reglamentarias y modificativas. 7) Se desconoce la existencia de caracterización urbana art. 178 Ley 17.296. 8) Que el plazo para consignar el saldo de precio es de 20 días corridos a partir del día hábil siguiente a la notificación del auto aprobatorio del remate, que no se interrumpirá ni por las ferias judiciales ni semana de turismo. La cancelación deberá realizarse y documentarse de acuerdo con la Ley 19.210 modificativas y decretos reglamentarios. 9) Que la subasta se realiza en las condiciones que surgen del expediente, información registral y documentación agregada al mismo (teniendo en cuenta que varios de los antecedentes dominiales son testimonios notariales, por carecer de primeras copias y/o primeros testimonios de protocolización), que se encuentra a disposición de los interesados en la Oficina del Juzgado sito en el Palacio de los Tribunales, Pasaje de los Derechos Humanos 1309 Tercer piso, de la Ciudad de Montevideo. Y a los efectos legales se expide el presente. Montevideo, 02 de octubre de 2025
INFORMES:
SERGIO FAIN AJDELMAN
remates@vera.com.uy
www.estudiofain.com
Tels. 2916 47 31 Cel. 099 151 883