
REMATE JUDICIAL
MIÉRCOLES 20 DE AGOSTO 13:30 HORAS
En A.N.R.T.C.I. – AV. URUGUAY 826 – MONTEVIDEO
PRECIO BASE: U$S 60.000
LOTE 3
DERECHOS DE PROMITENTE COMPRADOR DE
APTO. 2 DORMITORIOS EN FRENTE AL ANTEL ARENA
Descripción:
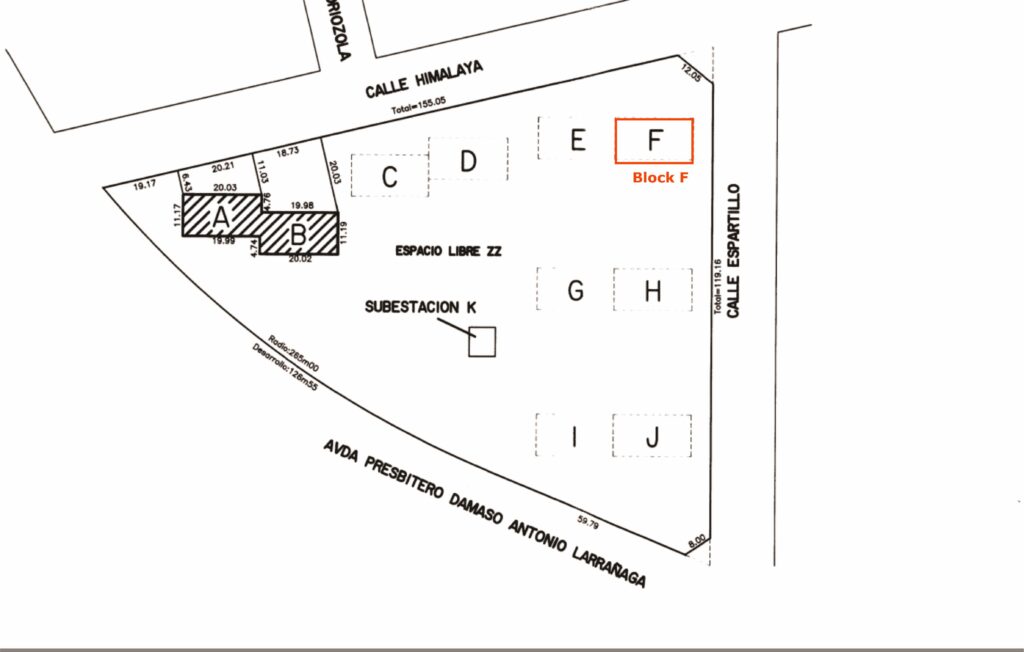
Dirección: Avda. Dámaso Antonio Larrañaga 3810, Block F, Apto. 202.
La entrada más próxima al Block F es por la calle Espartillo 3621-3625
Padrón: 431.444/F/202, Montevideo.
Superficie edificada: 61 m2 más terraza.
Según tasación agregada en autos (setiembre 2023).
Se trata de unidad de propiedad horizontal 202, del block F, del Padrón 431.444, el
citado padrón se ocupa la manzana delimitada por la Av. Dámaso Antonio Larrañaga
y las calles Himalaya, 20 de Febrero y Espartillo, allí en el año 1982 se construyó un
complejo de viviendas conocido como Rond Point en blocks de edificios de categoría
económica, en buen estado de conservación, en un predio enrejado y con espacios
verdes y de juegos.
La zona cuenta con locomoción variada, y acceso a servicios, con construcciones en
altura y de tipo casa habitación, de niveles socio económicos variados, está además
a muy corta distancia del complejo Antel Arena.
La citada unidad se encuentra en el segundo piso, al que se accede por escalera,
cuenta con 61 m2 de superficie más terraza, las unidades tipo
como ésta cuentan con living comedor, 2 dormitorios, cocina, 1 baño y
estacionamiento para un vehículo.
Se subastan los derechos de promitente comprador.
Surge del expediente que no existe saldo pendiente por la promesa.
FE DE ERRATAS: No se tuvo acceso a la unidad por lo que la primer descripción se
basó en lo informado por la Administradora del alquiler, sin embargo al recabar
información en el edificio con otras unidades se llegó a la conclusión que la unidad
es de 2 dormitorios y no de 3 como se pensó en un principio.
Entonces la unidad cuenta con 2 dormitorios.
Agradecemos a la comisión del edificio por su colaboración en todo momento.
Detalle:
DEUDAS (las cifras se dan a título informativo, es responsabilidad de los interesados
hacer directamente la consulta en los organismos respectivos)
Al 16/06/2025 según certificado de gravámenes IMM N° 673619
QUE SE DESCUENTAN DEL PRECIO (las paga el comprador pero las descuenta
del saldo de precio)
Contribución Inmobiliaria:
Debe $ 19.235.- (aprox. US$ 480.-)
Paga anualmente según último ejercicio 3 x $ 1.371.-
Primaria:
No tiene deuda.
Paga anualmente según último ejercicio 3 x $ 738.-
QUE NO SE DESCUENTAN DEL PRECIO (son de cargo del comprador)
Tributos Domiciliarios:
Debe $ 29.743.- (aprox. US$ 740.-)
Tarifa de Saneamiento: No tiene deuda.
Gastos Comunes:
Paga mensualmente $ 3.269.-
A mayo de este año inclusive no tenía deuda según administración.
Administra Roco 24097661
PRECIO BASE DEL REMATE: Base US$ 60.000.-
CONDICIONES DE PAGO: El día del remate en el mismo acto deberá abonar el
30% de su oferta, y el 3,66% por concepto de comisión e impuestos.
El pago puede hacerlo con letra de cambio o transferencia bancaria en el acto de
remate.
En caso de abonar con transferencia deberá gestionar en su Banco antes de la
subasta las habilitaciones necesarias para poder realizarla en el mismo acto de
remate.
¿ COMO HACE PARA SABER DE CUANTO HACER LA LETRA SI NO SABE POR
CUANTO SE VA A VENDER?
Hace una letra por lo menos por el 34% del precio que piense ofertar como máximo.
Sugerimos hacer la letra por el 40% de forma de quedar cubierto.
¿QUÉ PASA SI SE VENDE POR MENOS?
Lo que sobre de la letra se acredita en el saldo de precio y se le entrega un
comprobante en el acto.
LOS CLIENTES DEL INTERIOR DEBEN CONSTITUIR UN DOMICILIO LEGAL EN
MONTEVIDEO PARA QUE SE LE ENVÍEN NOTIFICACIONES POR PARTE DEL
JUZGADO, ETC. (PUEDE SER FAMILIAR, AMIGO, ESCRIBANO, ETC).
VISITAS, OCUPANTES.
Está ocupado por inquilino, con contrato vencido del 02/2016, precio actual $
21.746.- garantía ANDA.
DATOS DEL JUZGADO
Juzgado Letrado Familia 19°T° IUE 2-28311/2022
Av. Rondeau 1750, Montevideo.
Las interrogantes de índole jurídico notarial deben ser aclaradas con anterioridad al
día de remate por su profesional de confianza.

EDICTO: Por disposición del Sr/a. Juez Letrado de Familia de 19º Turno, dictada en autos: “MEDINA, GABRIELA y otro c/ MEDINA, MARCELA y otro. PARTICION IUE 2-28311/2022”, se hace saber que el 19 y 20 de agosto de 2025 a partir de las 13:30 horas en Av. Uruguay 826 por intermedio del Rematador ASSAD HAJJOUL Matrícula Nº 5555 RUT 212276850013 en acto presidido por el/la Sr/a. ALGUACIL del Juzgado, se procederá al remate en pública subasta, en dólares americanos, sobre la base de las 2/3 partes de su tasación y al mejor postor de los siguientes bienes inmueble: Fecha 19/8/2025: Lote 1) BASE: US$ 158.000.- Padrón 63.254, José P. Villagrán 2389, Montevideo. Solar de terreno con las mejoras que le acceden y las construcciones que contiene ubicado en el Departamento de Montevideo, cuarta sección judicial (antes vigésimo tercera), empadronado con el número 63.254 y señalado con el número 3 de la manzana “G” en el plano del Agrimensor Casimiro A. Pfaffly de fecha marzo de 1913, inscripto en la Dirección de Topografía el 15 de los mismos mes y año, según el cual consta de una superficie de 324 metros cuadrados que se deslindan así: 9 metros de frente al Noreste a la calle General José P. Villagrán, señalado el acceso con el Nº 2389, entre las calles Timoteo Aparicio y Juan B. Morelli, distando el punto medio del frente 25 metros 87 centímetros de la esquina que forma con la primera de las nombradas; 36 metros de frente al Sureste, limitando con solar 4, padrón 63.255; 9 metros de frente al Suroeste, lindando con parte del solar 17, padrón 63.268 y 36 metros de frente al Noroeste, confinando con el solar 2, padrón 63.253. Fecha 19/8/2025: Lote 2) BASE US$ 102.000.- Padrón 66.557, Emilio Castelar 4211/4213, Montevideo. Terreno con las construcciones y demás mejoras que le acceden; ubicado en el departamento de Montevideo, 23ª sección judicial, empadronado con el número 66.557, el cual según título tiene una superficie de 300 metros; el que según plano del Agrimensor Sergio Rosé, de noviembre de 1973, inscripto en la Dirección General de Catastro el 6 de diciembre siguiente con el número 73.354, se compone de una superficie de 299 metros 90 decímetros cuadrados, que se deslindan así: 9,97 metros al Sur de frente a la calle Emilio Castelar, puertas números: 4211 y 4213, distando el punto medio 87,17 metros de la ochava recta existente en la esquina con la calle Juan José Castro; 30,01 metros al Oeste lindando con el Padrón 66.558; 10,01 metros, al Norte lindando con el Padrón 66.539 y 30,03 metros al Este, confinando con el Padrón 66.556. Fecha 20/8/2025: Lote 3) BASE US$ 60.000.- Derechos de P. Comprador, Padrón 431.444/F/202, Avda. D. Antonio Larrañaga 3810. Unidad de Propiedad Horizontal del Programa Rond Point, Block 6, unidad 202, actualmente empadronada con el número 431.444, Block F, unidad 202 (431.444/F/202), que forma parte del edificio ubicado en el Departamento de Montevideo, localidad catastral Montevideo, con frente a la Avenida Dámaso Antonio Larrañaga número 3810 (antes 3156), construido sobre el padrón matriz 431.444. El plano de mensura y fraccionamiento del citado conjunto habitacional fue levantado por el Ingeniero Agrimensor José Damasco, el 2 de julio de 2021, cotejado e inscripto con el número 52.817 en la Dirección Nacional de Catastro el día 1 de abril de 2022. La citada unidad 202 del Block F, cuenta con un área de 61 metros cuadrados 17 decímetros cuadrados y le corresponde el uso exclusivo de Terraza F2 (bien común). Fecha 20/8/2025: Lote 4) . BASE US$ 26.444.- Padrón 184.691, Canstatt 2837, Montevideo (afectado por derecho real de uso y habitación). Solar de terreno con las mejoras y construcciones que contiene, ubicado en la décimo segunda sección judicial del Departamento de Montevideo, empadronado con el número 184.691, el que según plano del Agrimensor José Meier de setiembre de 1948, inscripto en la Dirección General de Catastro con el número 19.829 el 7 del mismo mes y año, se compone de una superficie de 342 metros 15 decímetros, que se deslinda así: 12 metros 89 centímetros de frente al Sureste a la calle Canstatt, puerta de acceso al edificio señalada con el número 2837; 6 metros 62 centímetros de frente al Sur a la calle Colorado, puerta de acceso Nº 2447, siendo esquina; uniendo ambos frentes ochava de 5 metros; 27 metros 8 centímetros al Oeste lindando con solar 15; 2 metros 41 centímetros al Norte con parte del solar 11 y 22 metros 89 centímetros al Noreste con el solar 13 . SE PREVIENE QUE: 1º) El mejor postor deberá consignar en el acto el 30% de su oferta en carácter de seña en el acto de serle aceptada la postura, siendo también de su cargo la comisión del rematador más IVA y tributos que la ley le impone. 2º) Se desconoce la situación ocupacional de los bienes. Con excepción del padrón Nº63254, que se encuentran alquilados los aptos. 001 y 003. 3º) Se desconoce deudas con BPS y DGI sobre los inmuebles. 4º) Se podrá descontar del precio de venta lo adeudado por Contribución Inmobiliaria, Impuesto a Primaria, hasta el día de remate. Así como lo correspondiente a la parte vendedora por IRPF e ITP. 5º) El mejor postor deberá consignar la seña al momento de bajarse el martillo, con los medios de pago autorizados por la Ley 19.210, modificativas y Ley 19.889. Asimismo deberá depositar el saldo de precio a la orden de la Sede y bajo el rubro de autos en plazo de 20 días corridos, contados a partir del siguiente a la notificación del auto aprobatorio del remate y que no será interrumpido por la Feria Judicial ni por Semana de Turismo. 6º) Se previene que la sucesión antecedente del bien Nº 431.444/F/202 no se encuentra inscripta. 7º) Los bienes se venden en las condiciones que surgen del expediente, de los certificados y la documentación agregada que se encuentra a disposición de los interesados en la Sede sito en Av. Rondeau 1750, Montevideo. Montevideo, 18 de junio de 2025. – ANDREA MARÍA CASAL MUZZOLÓN, Actuario.
INFORMES: ASSAD REMATES
assad@remate.com.uy
www.assad.com.uy
CONVENCION 1343 ESC. 1112 – MONTEVIDEO
Tels. 2900 3099 – 2900 4620
Cel. 092 50 55 55