REMATE EXTRAJUDICIAL
MARTES 28 DE ABRIL 14 HORAS
En MISIONES 1365 – MONTEVIDEO
Extrajudicial por cuenta y órden de LIDECO
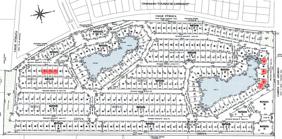
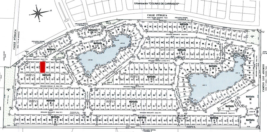
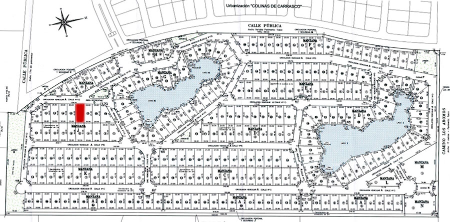
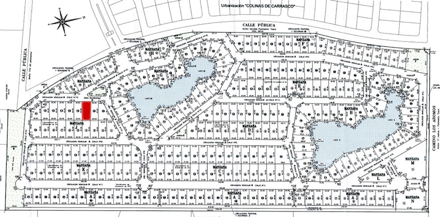
7 TERRENOS EN BARRIO “LA JUANA”
CAMINO LOS AROMOS
A 800 mts. DE LA RUTA 101 KM 23.900
Padrón general Nº 11.484
Seña 30%
Comisión 3,66% más IVA + 1% Imp. Municipal.
Saldo 30 días.
Serán cargo del comprador los gastos comunes y deuda IMC.
Se puede visitar con previa coordinación.
1. B-1 – Superficie: 861 m2 – Frente: 28,69 m – Base: U$S 72.455
El predio se encuentra nievelado y limpio.
La manzana B posee lotes irregulares, con frentes sobre distintas calles interiores y fondos sobre el lago artificial.
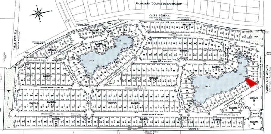
2. B-34 – Superficie: 911 m2 – Frente: 39,88 m – Base: U$S 76.655
El predio se encuentra nievelado y limpio.
La manzana B posee lotes irregulares, con frentes sobre distintas calles interiores y fondos sobre el lago artificial.
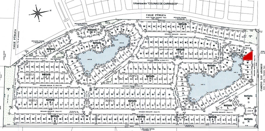
3. B-36 – Superficie: 896 m2 – Frente: 20 m – Base: U$S 75.455
El predio se encuentra nievelado y limpio.
La manzana B posee lotes irregulares, con frentes sobre distintas calles interiores y fondos sobre el lago artificial.
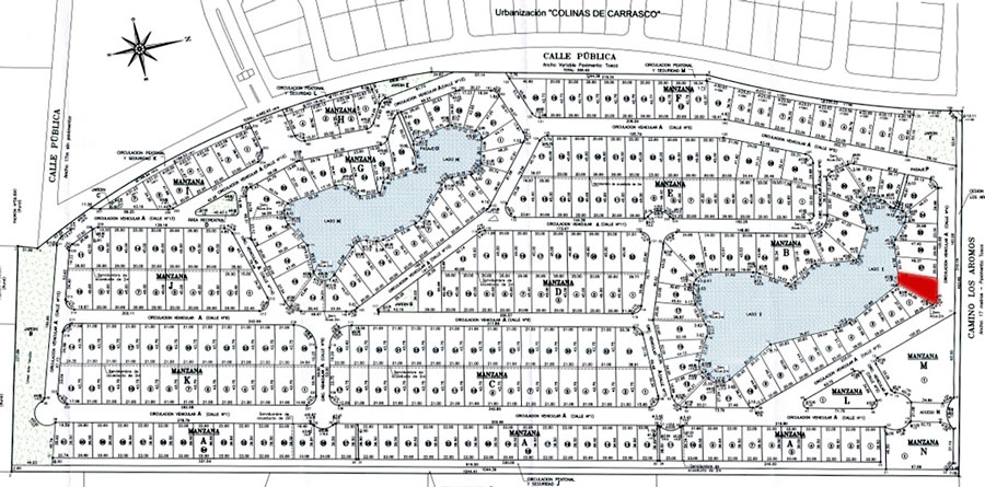
4. B-38 – Superficie: 862 m2 – Frente: 21,25 m – Base: U$S 72.100
El predio se encuentra nievelado y limpio.
La manzana B posee lotes irregulares, con frentes sobre distintas calles interiores y fondos sobre el lago artificial.
5. J-15 – Superficie: 900 m2 – Frente: 20 m – Base: U$S 59.775
El predio se encuentra nievelado y limpio.
La manzana J posee dos frentes sobre calles internas del barrio.
6. J-16 – Superficie: 900 m2 – Frente: 20 m – Base: U$S 59.775
El predio se encuentra nievelado y limpio.
La manzana J posee dos frentes sobre calles internas del barrio.
7. J-17 – Superficie: 900 m2 – Frente: 20 m – Base: U$S 59.775
El predio se encuentra nievelado y limpio.
La manzana J posee dos frentes sobre calles internas del barrio.
EDICTO: Se hace saber que en el concurso que se tramita ante el Juzgado Letrado de Primera Instancia de Concursos de Segundo Turno, en autos caratulados: “Juan Martín Balsa y Otros.-CONCURSO LEY 18.387”,, I.U.E 2-33468/2024, se dispuso por auto número 1018 de fecha 8 de mayo de 2024, el concurso voluntario de la persona física y las sociedades vinculadas, entre otras “Chamery S.A.”, designándose Interventor a Liga de Defensa Comercial. Liga de Defensa Comercial y la sociedad concursada, solicitaron autorización para proceder a la venta privada de 7 lotes de la Urbanización La Juana, ubicados en el departamento de Canelones, Localidad Catastral Barros Blancos. Por auto número 720/2026 del 19 de marzo de 2026, dictado en autos caratulados “Chamery S.A.- Concurso Voluntario -Ley 18.387 I.U.E. 41-62/2024, el juzgado interviniente tuvo presente la decisión de subasta extrajudicial de los referidos lotes. Por intermedio del Rematador Héctor Bavastro, matrícula 2237, Rut 213384600012, y con fecha 28 de abril de 2026 en el salón Casa de Remates Bavastro, sito en la calle Misiones número 1365 de esta ciudad y a las 14: 00 horas, se realizará el remate extrajudicial de las siguientes unidades de Propiedad Horizontal ubicadas en el Departamento de Canelones, Localidad Catastral Barros Blancos, que forman parte de la Urbanización de Propiedad Horizontal “LA JUANA”, que se desarrolla en régimen de Propiedad Horizontal según Leyes Números 17.292 y 16.760, modificativas y concordantes y Permisos de Construcción número 2021-81-1330-01347 aprobado por la Intendencia Departamental de Canelones, y que se describen a continuación:
LOTE 1) Solar sin construcciones empadronado individualmente con el número once mil cuatrocientos ochenta y cuatro barra B barra cero cero uno (11.484/B/001), señalada como lote“001” de la manzana “B”, consta de una superficie de ochocientos sesenta y un metros, treinta y ocho decímetros (861 metros 38 decímetros);
LOTE 2) Solar sin construcciones empadronado individualmente con el número once mil cuatrocientos ochenta y cuatro barra B barra cero treinta y cuatro (11.484/B/034), señalada como lote“034” de la manzana “B”, consta de una superficie de novecientos once metros cincuenta y dos decímetros (911 metros 52 decímetros);
LOTE 3) Solar sin construcciones empadronado individualmente con el número once mil cuatrocientos ochenta y cuatro barra B barra cero treinta y seis (11.484/B/036), señalada como lote“036” de la manzana “B”, consta de una superficie de ochocientos noventa y seis metros ochenta y ocho decímetros (896 metros 88 decímetros);
LOTE 4) Solar sin construcciones empadronado individualmente con el número once mil cuatrocientos ochenta y cuatro barra B barra cero treinta y ocho (11.484/B/038), señalada como lote “038” de la manzana “B”, consta de una superficie de ochocientos sesenta y dos metros noventa y cuatro decímetros (862 metros 94 decímetros);
LOTE 5) Solar sin construcciones empadronado individualmente con el número once mil cuatrocientos ochenta y cuatro barra J barra cero quince (11.484/J/015), señalada como lote “015” de la manzana “J”, consta de una superficie de novecientos metros (900 metros);
LOTE 6) Solar sin construcciones empadronado individualmente con el número once mil cuatrocientos ochenta y cuatro barra J barra cero dieciséis (11.484/J/016), señalada como lote“016” de la manzana “J”, consta de una superficie de novecientos metros (900 metros);
LOTE 7) Solar sin construcciones empadronado individualmente con el número once mil cuatrocientos ochenta y cuatro barra J barra cero diecisiete (11.484/J/017), señalada como lote “017” de la manzana “J”, consta de una superficie de novecientos metros (900 metros). Todas las unidades están descriptas en el plano proyecto de fraccionamiento horizontal – urbanización de propiedad horizontal de Ley 17.292 del Ingeniero Agrimensor Rafael Boix aprobado por la Oficina de Gerencia de Área Técnica – Fraccionamiento de la Intendencia de Canelones el 10 de diciembre de 2021 por resolución 21/07278 (Expediente número 2021-81-1330-01347), inscripto en la Dirección Nacional de Catastro, Oficina Delegada de Ciudad de la Costa el 21 de noviembre de 2023 con el número 4.149. El padrón matriz, empadronado con el número once mil cuatrocientos ochenta y cuatro (11.484) se encuentra ubicado en la Localidad Catastral Barros Blancos, Departamento de Canelones, zona suburbana, el que según plano proyecto de fraccionamiento referido, consta de una superficie de cuarenta y un hectáreas seis mil setenta y seis metros cincuenta y cinco decímetros (41 hectáreas 6076 metros 55 decímetros) y se deslinda así: al oeste, una línea quebrada compuesta de cuatro tramos, el primero recto de 21,69 metros, el segundo ligeramente curvo de 482,93 metros de desarrollo, el tercero recto de 306,40 metros, y el cuarto, ligeramente curvo de 288,72 metros de desarrollo, todos de frente a Calle, con excepción del primero tramo que linda con parte del padrón 59.890; al noreste, 403,60 metros de frente a Camino Los Aromos; al sureste, 1.044,41 metros lindando con los padrones 54.678, 55.270, 55.272, 56.395 y con parte del padrón 56.394; al suroeste, 244,86 metros lindando con los padrones 56.860 y 56.861.
PREVENCIONES:
1) BASE DEL REMATE: El remate se realiza sobre las siguientes bases expresadas en dólares estadounidenses:
PADRÓN BASE U$S
LOTE 1) 11.484/B/001 72455
LOTE 2) 11.484/B/034 76655
LOTE 3) 11.484/B/036 75455
LOTE 4) 11.484/B/038 72100
LOTE 5) 11.484/J/015 59775
LOTE 6) 11.484/J/016 59775
LOTE 7) 11.484/J/017 59775
2) FORMA DE PAGO: El mejor postor deberá consignar el 30% de su oferta el mismo día del remate, debiendo realizarse a través de medios de pago electrónicos cumpliendo con la Ley 19.210 y las modificaciones introducidas por la Ley 19.889.
3) El saldo de precio deberá ser abonado por el mejor postor en su totalidad al momento de celebrarse la escritura de compraventa, y la cancelación de la hipoteca existente a favor del BPS, estableciéndose para ello un plazo de 30 días.
4) COMISIÓN. Que la comisión del rematador fijada en un 3.66 % iva incluido, será abonada por el mejor postor adquirente en el remate, además del 1% por concepto de impuesto municipal.
5) GASTOS: Serán de cargo del comprador los gastos y honorarios de escrituración del inmueble, el ITP correspondiente, así cómo los gastos comunes y la deuda de IMC por la unidad.
6) ESTADO DE LOS BIENES: Los bienes se encuentran libres de ocupante y con Declaración Jurada de Caracterización Urbana, vigente (Ley 17.296 artículo 178).
7) Los inmuebles se rematan a la vista, en el estado actual material y jurídico, sin derecho a reclamo de ninguna naturaleza.
8) La postura en el remate implica la plena aceptación de todas las condiciones.
9) Que las compraventas serán otorgadas por el representante de la sociedad y Liga de Defensa Comercial.
10) El expediente se encuentra a disposición de los interesados en el Juzgado Letrado de Concursos de Segundo Turno.






















DEUDAS 



