
REMATE JUDICIAL SIN BASE EN U$S
JUEVES 19 DE MARZO 14:30 HORAS
En A.N.R.T.C.I. – AV. URUGUAY 826 – MONTEVIDEO
CH 101 PROGRAMA 649 – CASA 001
CASA DE 2 DORMITORIOS Y GRAN PATIO CON PARRILLERO
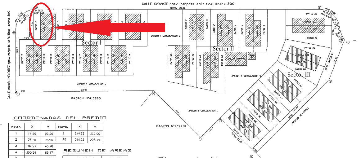
Cayambé 3325 esquina Manuel Meléndez
Padrón 410.892/001 Superficie según plano: 40,26 m²
más uso exclusivo de patio “E” de 59,38 m²
Importante entrada vehicular, living comedor al frente con cocina integrada, dos
dormitorios, baño. Patio con parrillero y pequeña construcción al fondo.
DEUDAS al 03 de marzo de 2026 (las cifras se brindan a título informativo, es
responsabilidad de los interesados hacer directamente la consulta en los organismos
respectivos)
QUE SE DESCUENTAN DEL PRECIO
Contribución Inmobiliaria:
– Cuenta Corriente 614797
– $ 47.218 (desde 2°/2018 a 3°/2025)
– Paga $ 1.650 por cuota (ejercicio 2026)
Primaria:
– Id.: 5748448
– $ 18.207 (desde ejercicio 2020 a 1°/2026)
– Paga $ 720 por cuota (ejercicio 2026)
QUE NO SE DESCUENTAN DEL PRECIO
Tributos Domiciliarios (Tasa general municipal):
– Cuenta Corriente 4133824
– $ 22.285 (desde mayo – junio 2018 a enero – febrero 2026
– Paga $ 350 bimestre (enero – febrero /2026)
Saneamiento:
– Cuenta Corriente 4185038
– $ 144.209 (desde abril 2018 a enero 2026)
Gastos comunes
– $ 4.200 (noviembre, diciembre 2025 y enero 2026)
– Paga $ 1.400 por mes.
– Tiene un convenio vigente que está al día del que restan 6 cuotas de $ 2.000 c/u.
En el acto 30% más com. e imp. 3,66% con instrumentos acordes a la Ley de
inclusión financiera (letra de cambio, cheque certificado o transferencia electrónica
desde banco).
En caso de abonar con transferencia electrónica, el mejor postor deberá tomar los
recaudos necesarios ante la sucursal de su banco a efectos de tener disponibles los
montos necesarios al momento de la realización de la subasta.
Antecedentes: Jdo. Letrado en lo Civil de 8° Turno. IUE: 2-18307/2021.
Se sugiere consultar a su profesional de confianza para estudio de expediente, título
y demás.








EDICTO: Por disposición del Sr/a. Juez Letrado Civil de 8º Turno, dictada en autos: “LANERI BASALO, CARLOS c/ ROMERO BRITOS, MARCELO – EJECUCIÓN HIPOTECARIA.” IUE 2-18307/2021, Por disposición del Sr/a. Juez Letrado Civil de 8º Turno, dictada en autos: “LANERI BASALO, CARLOS c/ ROMERO BRITOS, MARCELO. – EJECUCIÓN HIPOTECARIA” IUE 2-18307/2021, se hace saber que el próximo jueves 19 de marzo de 2026 a las 14:30 horas en el local de la Avenida Uruguay 826, por intermedio del Martillero Pablo Lakierovich, Matrícula N° 5780, RUT 215178070018, en acto presidido por el Sr. Alguacil de la Sede se procederá a la venta en dólares estadounidenses, en pública subasta, sin base y al mejor postor del siguiente bien: Unidad de propiedad horizontal 001 que forma parte de un edificio sito en la localidad catastral Montevideo, departamento de Montevideo, zona urbana, empadronado con el número 410.892, el que según plano de mensura y fraccionamiento horizontal del Ingeniero Agrimensor Horacio Taborda Rumi de octubre de 1988 inscripto con el número 13.692 el 10 de enero de 1989 y plano de mensura y modificación del Agrimensor Wilson Arcari de julio de 2011, inscripto en la Dirección Nacional de Catastro con el número 24.292 el 28 de noviembre de 2014, consta de una superficie de 7.670 metros 67 decímetros y se deslinda con 31 metros 23 centímetros al Noroeste a la calle Manuel Meléndez y 141 metros 55 centímetros al Noreste de frente a la calle Cayambé por ser esquina, uniendo ambos frentes ochava curva de 15 metros 61 centímetros de desarrollo. La unidad 001 se encuentra empadronada individualmente con el número 410.892/001 y según el plano citado se ubica en planta baja a cota vertical -0,55 metros tiene una superficie de 40 metros 26 decímetros (según plano) y le corresponde el uso exclusivo del patio “E”, bien común. SE PREVIENE: 1º) Que el mejor postor deberá consignar el 30% de su oferta en carácter de seña en el acto de serle aceptada la postura, así como la Comisión del Rematador más IVA, o sea el 3,66% del precio del remate. Dicho pago deberá realizarse en el acto, y si el precio total de lo rematado superare las U.I. 1.000.000 (Unidades Indexadas un millón), se hará efectivo mediante cualquiera de los medios de pago previstos por la Ley de inclusión financiera, modificativas y decretos reglamentarios. En caso de abonar con transferencia electrónica, el mejor postor deberá tomar los recaudos necesarios ante la sucursal de su banco a efectos de tener disponibles los montos necesarios al momento de la realización de la subasta. 2°) El plazo para consignar el saldo de precio por parte del mejor postor es de 20 días corridos a partir del día hábil siguiente al de la notificación del auto aprobatorio del remate que no se interrumpirá ni por las ferias judiciales ni semana de turismo. La cancelación deberá realizarse y documentarse de acuerdo a la Ley 19.210, modificativas y decretos reglamentarios. 3°) Que serán de cargo del Comprador los gastos de escrituración, honorarios, impuestos, certificados y demás que la Ley pone a su cargo. 4º) Que será de cargo del expediente la Comisión de Venta del Rematador más IVA o sea el 1,22% sobre el precio de remate, así como los gastos de remate. 5°) Que se desconoce el estado ocupacional del bien en la actualidad. 6°) Que se desconoce la existencia de deudas de construcción ante el BPS e Intendencia de Montevideo. 7°) Que existe deuda de contribución inmobiliaria e impuesto de enseñanza primaria. 8°) Que solamente podrán ser imputados al precio los tributos necesarios para la escrituración hasta el momento del remate. En el caso de existir cuentas en juicio solo se podrá descontar el monto del tributo y no los honorarios judiciales que se originaren, los cuales serán asumidos por quien resultare mejor postor en el remate. 9°) Quien resulte mejor postor en el remate deberá tramitar previamente a la escrituración del bien ante la intendencia correspondiente el certificado referente al derecho de preferencia previsto por el artículo 66 de la Ley 18.308. 10°) En el caso de no encontrarse vigente la caracterización urbana, será de cargo del mejor postor la realización del trámite de acuerdo al artículo 178 de la Ley 17.296. 11°) Que surge una inscripción de expropiación por el padrón 78.757 del año 2011, reinscripta en el año 2021. 12°) Que existe deuda por gastos comunes. 13°) Que no se agrega certificado de transferencia del BHU-ANV. 14°) Que falta testimonio registral de la compraventa del 26 de junio de 1985. 15°) Que falta plano de mensura y fusión de los agrimensores Alcides Aldana e Hipólito Zas de junio de 1981 que fusionan los padrones 407.480, 407.481 surgiendo el padrón 407.481. 16°) Que falta plano de fraccionamiento del padrón 409.981. 17°) Que existe diferencia de área de la unidad del título (46 metros 26 decímetros) con el plano (40 metros 26 decímetros). 18°) Que la subasta se realiza en las condiciones que surgen del expediente, información registral y documentación agregada, la que se encuentra a disposición de los interesados en la Oficina del Juzgado sito en el Palacio de los Tribunales, Pasaje de los Derechos Humanos 1309 Primer piso de la ciudad de Montevideo. El mejor postor deberá tener presente lo dispuesto en el inciso final del artículo 390 del CGP. Y a los efectos legales se hace esta publicación. Montevideo, 13 de febrero de 2026 – VIRGINIA ELIZABETH MEGA YEREGUI, Actuario Adjunto
INFORMES:
PABLO LAKIEROVICH SPALTER
pablolaki@gmail.com
Tels. 2901 73 24 L. a V. de 14 a 18:30 Cel. 099 632 052